ടൂറിനിലെ തിരുവസ്ത്രം

ആരിഫ് ഖാൻ, ലണ്ടൻ.

സത്യദൂതൻ, ഏപ്രിൽ 2011

ക്രൂശിതനായ യേശുവിന്റെ ശരീരം പൊതിഞ്ഞുവെന്ന് കരുതപ്പെടുന്ന വസ്ത്രത്തെയാണ് ടൂറിനിലെ തിരുവസ്ത്രം (Shroud of Turin) എന്ന് പറയുന്നത്. ഈ തിരുവസ്ത്രത്തിന് 4.37 മീ. നീളവും 1.1 മീ വീതിയുമുണ്ട്. ക്രൂശിതനായ ഒരു മനുഷ്യന്റെ അവ്യക്തമായ ഒരു രൂപവും അതിൽ കാണാം. ഈ ദശകത്തിലാദ്യമായി 2010 ഏപ്രിൽ 10 മുതൽ മെയ് 23 വരെ ടൂറിനിലെ തിരുവസ്ത്രം പ്രദർശനത്തിന് വെച്ചപ്പോൾ ഇരുപത് ലക്ഷം ആളുകളാണ് അത് ദർശിക്കാനായി വടക്കൻ ഇറ്റലിയിലെ ടൂറിൻ പട്ടണത്തിലെത്തിയത്. ഈ അവസരത്തിൽ തന്നെ അഹ്മദിയ്യാ ഖലീഫ ഹദ്റത്ത് മിർസാ മസ്റൂർ അഹ്മദ് (അയ്യദഹു….) ടൂറിൻ തിരുവസ്ത്രം കാണാൻ ഒരു സ്വകാര്യസന്ദർശനം നടത്തുകയുണ്ടായി.

By Dianelos Georgoudis – Own work, CC BY-SA 3.0, https://commons.wikimedia.org/w/index.php?curid=33117743

തിരുവസ്ത്രത്തിന്റെ പ്രാധാന്യം

By Giuseppe Enrie, 1931
From the Hebrew Wikipedia.

തിരുശേഷിപ്പുകളുടെ കാര്യത്തിൽ ക്രിസ്തുമതം സമ്പന്നമാണ്. യേശുവിന്റെ കാലത്തുള്ള തിരുശേഷിപ്പുകളാണ് ഏറ്റവും അമൂല്യമായുള്ളത് എന്ന് കരുതപ്പെടുന്നു. അതിന്റെയെല്ലാം ആധികാരികത തെളിയിക്കാൻ ബുദ്ധിമുട്ടാണ്. അത്തരത്തിലുള്ള ഏറ്റവും പ്രധാനപ്പെട്ട ഒരു തിരുശേഷിപ്പാണ് ടൂറിനിലെ തിരുവസ്ത്രം. കുരിശ് പീഢനത്തിന് ശേഷം യേശുവിന്റെ ശരീരം കല്ലറയിൽ പൊതിഞ്ഞുവെച്ച വസ്ത്രമാണ് ഇതെന്ന് കരുതപ്പെടുന്നു. ബെബിൾ പുതിയ നിയമത്തിൽ യേശുവിനെ ക്രൂശിച്ചതിന് ശേഷം ശരീരം ഒരു ലിനൻ വസ്ത്രത്തിൽ പൊതിഞ്ഞതായി വിവരിക്കുന്നു.

“അയാൾ ഒരു ലിനൽ കച്ച വാങ്ങി അവന്റെ ശരീരം താഴെയിറക്കി ആ കച്ചയിൽ പൊതിഞ്ഞു. പാറയിൽ വെട്ടിയുണ്ടാക്കിയ കല്ലറയിൽ അവനെ സംസ്കരിച്ചു. അയാൾ ഒരു കല്ല് കല്ലറവാതിൽക്കൽ ഉരുട്ടിവെച്ചു’ (മാർക്കോസ് 15:46)

ഒരു രാത്രിയിൽ യേശുവിനെ ആദ്യമായി സന്ദർശിച്ച നിക്കോദമൊസ് ഏതാണ്ട് നൂറു റാത്തൽ മീറും അകിലും ചേർത്ത് ഒരു സുഗന്ധ കൂട്ടുകൊണ്ടുവന്നു. അവർ വന്ന് യേശുവിന്റെ ശരീരം എടുത്ത് യഹൂദരുടെ ശവസംസ്കാര സമ്പ്രദായമനുസരിച്ച് സുഗന്ധദ്രവ്യങ്ങളോട് കൂടി ലിനൻകച്ചയിൽ പൊതിഞ്ഞു (യോഹ: 19:39, 40)

മേൽ പ്രസ്താവിച്ച ശവസംസ്കരണവേളയിലെ ശവക്കച്ചയാണ് ഇതെന്നാണ് ക്രിസ്ത്യാനികൾ അവകാശപ്പെടുന്നത്. ഈ അവകാശവാദത്തെ ചോദ്യം ചെയ്യുന്നവരുമുണ്ട്. എങ്കിലും ടൂറിൻ തിരുവസ്ത്രം ക്രിസ്തീയലോകത്തെ ഏറ്റവും ആദരണീയവും വിശ്വസനീയവുമായ ഒര തിരുശേഷിപ്പാണ്.

1898ൽ സെകെന്റോപിയ എന്നയാൾ ഫോട്ടോയെടുത്തതോടുകൂടി, തിരുവസ്ത്രത്തിന്റെ പ്രാധാന്യം ഒന്നുകൂടി വർധിക്കുകയുണ്ടായി. ഫോട്ടോ എടുത്ത് അതിന്റെ നെഗറ്റീവ് ഡെവലപ് ചെയ്തപ്പോൾ അതിൽ കണ്ട സൂക്ഷ്മവും വ്യത്യസ്തവുമായ ചിത്രം സെക്കന്റോപിയയെ വിസ്മയഭരിതനാക്കി. വളരെ അവ്യക്തമായി അതുവരെ തിരുക്കച്ചയിൽ കണ്ട പ്രതിരൂപം നെഗറ്റീവ് ഫിലിമിൽ കൂടുതൽ മിഴിവോടെയും തെളിവോടെയും പ്രത്യക്ഷപ്പെട്ടു. ഈ അദ്ഭുതകാഴ്ച കണ്ട് ആ ഫോട്ടോഗ്രാഫർ ഞെട്ടിപ്പോയി. കെയിലുണ്ടായിരുന്ന നെഗറ്റീവ് പ്ലേറ്റ് താഴെ വീണു.

ടൂറിൻ തിരുവസ്ത്രത്തിന്റെ പഴമ

ടൂറിൻ തിരുവസ്ത്രത്തിന്റെ രേഖപ്പെടുത്തിയ ചരിത്രത്തിന് 13 മുതൽ 14 വരെ നൂറ്റാണ്ടുകളോളം മാത്രമേ പഴക്കമുള്ളൂ. എങ്കിലും യേശുവിന്റെ രൂപചിത്രം വഹിക്കുന്ന ഈ തിരുവസ്ത്രത്തിന് രണ്ടായിരം വർഷത്തെ പഴക്കമുണ്ട്. അതിന് നിരവധി തെളിവുകളുണ്ട്. ആ കാലഘട്ടത്തിൽ “എഡേസ്സയിലെ ശീല’ എന്നറിയപ്പെട്ട വസ്ത്രം ടൂറിൻ വസ്ത്രം തന്നെയായിരുന്നു.

ഇയാൻ വിൻസൺ എന്ന തിരുവസ്ത്ര ഗവേഷണ വിദഗ്ധൻ ടൂറിൻ തിരുവസ്ത്രം ഒന്നാം നൂറ്റാണ്ടിലേതാണെന്ന് രേഖകളുദ്ധരിച്ച് സമർഥിച്ചിട്ടുണ്ട്. യേശുവിന്റെ മുഖത്തിന്റെ പ്രതിരൂപമുള്ള ഒരു വസ്ത്രത്തെക്കുറിച്ചുള്ള പരമ്പരാഗത വിശ്വാസത്തിന്റെ ചരിത്രരേഖകൾ ഇയാൻ വിൽസൺ ശേഖരിച്ചിരുന്നു. ഇത് തന്നെയാണ് ഇപ്പോഴത്തെ ടൂറിൻ തിരുക്കച്ചയെന്ന് അദ്ദേഹം വാദിക്കുന്നു.(1) എഡേസ്സ തിരുക്കച്ച എന്നറിയപ്പെടുന്ന ഈ വസ്ത്രം യേശുവിന്റെ പ്രതിരൂപമുള്ളതും മൂന്നും നാലും നൂറ്റാണ്ടിൽ തന്നെ അറിയപ്പെട്ടതുമാണ്. ജെറുസലേമിൽ നിന്ന് അത് എഡേസ്സയിലേക്ക് മാറ്റപ്പെടുകയാണുണ്ടായത്. എഡേസ്സ ഭരണാധികാരിയായിരുന്ന അബ്ഗാർ അഞ്ചാമൻ ക്രിസ്തുമതത്തിലേക്ക് പരിവർത്തനം ചെയ്യാൻ കാരണം ഈ തിരുവസ്ത്രമായിരുന്നുവെന്ന് പറയപ്പെടുന്നു. ഈ തിരുവസ്ത്രം ഓരോ നൂറ്റാണ്ടിലും എങ്ങനെ ചരിത്രത്തിൽ പ്രത്യക്ഷപ്പെട്ടുവെന്ന് ഇയാൻ വിൽസൺ വിവരിക്കുന്നുണ്ട്.

പുനരുത്ഥാനസമയത്ത് ഉണ്ടായ വലിയതോതിലുള്ള ഊർജപ്രവാഹമാണ് വസ്ത്രത്തിൽ പ്രതിച്ഛായ സൃഷ്ടിച്ചതെന്നാണ് ഇയാൻ വിൽസന്റെ വാദം. പക്ഷേ എന്തെങ്കിലും തരത്തിലുള്ള ഊർജം പ്രവഹിക്കണമെങ്കിൽ ശരീരത്തിൽ ജീവനുണ്ടായിരിക്കണം എന്നതാണ് വസ്തുത. ഇയാൻ വിൽസൺ തന്റെ പുസ്തകത്തിൽ ടൂറിൻ തിരുവസ്ത്രം ചരിത്രത്തിലൂടെ കടന്നുവന്ന സമയരേഖ വെളിപ്പെടുത്തിയിട്ടുണ്ട്. പുരാതന ചരിത്രങ്ങളിൽ പരാമർശിതമായ ആ കച്ച തിരുവസ്ത്രം തന്നെയാണെന്ന് ഉറപ്പിച്ചു പറയാനുള്ള സാധ്യതയാണുള്ളത്.

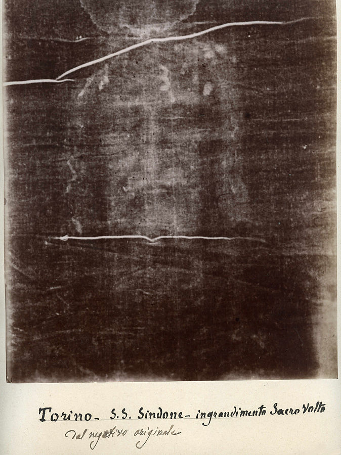
തിരുവസ്ത്രത്തിലെ പ്രതിച്ഛായ

Secondo Pia‘s 1898 negative of the image on the Shroud of Turin has an appearance suggesting a positive image. It is used as part of the devotion to the Holy Face of Jesus. Image from Musée de l’ÉlyséeLausanne.

തിരുവസ്ത്രത്തിലെ ഏറ്റവും വിസ്മയകരമായ കാര്യം അതിലെ പ്രതിച്ഛായയാണ്. ഈ പ്രതിച്ഛായ രൂപപ്പെടാൻ കാരണമായ പ്രതിഭാസം എന്താണെന്ന് ഇത് വരെ പൂർണമായും വിശദീകരിക്കപ്പെട്ടിട്ടില്ല. ഈ രൂപത്തിന്റെ മറ്റൊരു പ്രത്യേകത അത് സ്വയം തന്നെ ഒരു നെഗറ്റീവ് ഇമേജ് ആണെന്നുള്ളതാണ്.

തിരുവസ്ത്രത്തിന് യേശുവും ക്രൂശീകരണവുമായുള്ള ബന്ധം

രണ്ടായിരം വർഷങ്ങൾക്ക് മുമ്പ് യേശുവിന് എന്തു സംഭവിച്ചുവെന്നാണോ അഹ്മദി മുസ്ലിംകൾ വിശ്വസിക്കുന്നത് ആ കാര്യങ്ങളുടെയെല്ലാം വിശദമായ തെളിവുകൾ ടൂറിൻ തിരുവസ്ത്രം നൽകുന്നു.

ചമ്മട്ടിയടിയും ചാട്ടവാറടിയും

 ക്രൂശീകരണത്തിന് മുമ്പായി കുറ്റവാളിയെ ചമ്മട്ടി കൊണ്ടും ചാട്ടവാറുകൊണ്ടും അടിക്കുകയെന്നത് പുരാതന റോമിലെ സമ്പ്രദായമാണ്. യേശുവിനെ അങ്ങനെ ചെയ്തതിന്റെ വ്യക്തമായ പാടുകൾ ടൂറിൻ തിരുവസ്ത്രത്തിലുണ്ട്. പ്രത്യേകിച്ച് ശരീരത്തിന്റെ പിൻഭാഗത്ത്. മൂന്ന് മുള്ളുകളുള്ള റോമൻ രീതിയിലുള്ള തുകലിൽ പൊതിഞ്ഞ ഉപകരണമാണ് ചമ്മട്ടി. എല്ലുകൊണ്ടുണ്ടാക്കിയ ഈ മുനകൾ ശരീരത്തിൽ പരമാവധി പരിക്കുണ്ടാക്കാനുദ്ദേശിച്ചുകൊണ്ടുള്ളതാണ്. ചമ്മട്ടി (Flagellum) എന്ന പേരുള്ള ഈ റോമൻ ഉപകരണം കൊണ്ടടിച്ചതിന്റെ പരിക്കുകളുടെ അടയാളങ്ങൾ ടൂറിൻ തിരുശീലയിൽ വ്യക്തമായി കാണാം.

മുൾകിരീടം

താൻ യഹൂദരുടെ രാജാവാണ് എന്ന യേശുവിന്റെ വാദം ഏറ്റവും കൂടുതൽ പരിഹസിക്കപ്പെട്ടിരുന്നു. യേശുവിന്റെ ക്രൂശീകരണത്തിന്റെ മുഖ്യകാരണങ്ങളിലൊന്ന് അതായിരുന്നു. മത്തായി, മാർക്കോസ്, യോഹന്നാൻ എന്നിവരുടെ സുവിശേഷങ്ങളിൽ മുൾക്കിരീടത്തെ പറ്റി വ്യക്തമായ വിവരണങ്ങളുണ്ട്.

“മുള്ളുകൊണ്ട് ഒരു കിരീടം മെനഞ്ഞുണ്ടാക്കി അത് അവന്റെ തലയിൽ വെച്ചു. വലത് കെയിൽ ഒരു ഞാണങ്ങാക്കോലും പിടിപ്പിച്ചു. പിന്നീട് അവർ അവന്റെ കെയിൽ മുട്ടുകുത്തി പരിഹസിച്ചു പറഞ്ഞു: യഹൂദരുടെ രാജാവേ സ്വസ്തി!” (മത്താ: 27:29)

“അവർ അവനെ ഒരു ചെങ്കുപ്പായം ധരിപ്പിച്ചു. മുള്ളുകൊണ്ട് ഒരു കിരീടം മെടഞ്ഞുണ്ടാക്കി. അവൻ അത് അവന്റെ തലയിൽ വെച്ചു. “യഹൂദരുടെ രാജാവേ ജയിച്ചാലും” എന്ന് പറഞ്ഞ് അവർ അവനെ വന്ദിക്കാൻ തുടങ്ങി” (മാർക്കോ: 15:17).

“ഭടന്മാർ മുള്ളുകൊണ്ട് ഒരു കിരീടം മെടഞ്ഞുണ്ടാക്കി അവന്റെ തലയിൽ വെച്ചു” (യോഹ: 19:2)

ടൂറിൻ വസ്ത്രത്തിൽ തലയുടെ ഭാഗത്ത് അസാധാരണമായ വിധം രക്തം ഒഴുകിയതായി കാണുന്നു. തലക്ക് പിന്നിൽ മുടിയിൽ പുറത്ത് രക്തക്കറകൾ കാണാം. ഇതെല്ലാം തന്നെ ഒരു മുൾക്കിരീടം അണിഞ്ഞതിന്റെ സാക്ഷ്യങ്ങളാണ്.(2)

ആണിപ്പഴുത്

കെക്കുഴയിലൂടെയും കാലിലൂടേയും ആണി അടിച്ചുകയറ്റിയാണ് യേശുവിനെ ക്രൂശിച്ചത്. ഈ ശരീരാവയവങ്ങളുടെ ഭാഗങ്ങളിൽ നിന്നെല്ലാം രക്തം പ്രവഹിച്ചതായി ടൂറിൻ വസ്ത്രത്തിൽ വ്യക്തമായിക്കാണുന്നു.(3)

യേശുവിന്റെ ക്രൂശീകരണം പരമ്പരാഗതമായി ചിത്രീകരിച്ചുവരുന്ന കലാരചനകളിലെല്ലാം കെപ്പത്തിയിലൂടെ ആണി അടിച്ചുകയറ്റിയതായാണ് ചിത്രീകരിച്ചത്. ആധുനിക ഗവേഷകന്മാർ ഇത് അസാധ്യമാണെന്ന് വിശ്വസിക്കുന്നു. എന്തുകൊണ്ടെന്നാൽ ശരീരം കുരിശിൽ താങ്ങിനിറുത്തണമെങ്കിൽ കെക്കുഴയിൽ തന്നെ ആണിയടിക്കേണ്ടതുണ്ട്.(4) ഇത് കൃത്യമായും ടൂറിൻ തിരുശ്ശീലയിന്മേൽ പതിഞ്ഞിട്ടുണ്ട്.

രക്തപ്രവാഹം

തിരുവസ്ത്രത്തിൽ കണ്ടത് രക്തക്കറയാണ് എന്നത് അനിഷേധ്യമായി തെളിയിക്കപ്പെട്ടിരിക്കുന്നു. 1978ൽ ശാസ്ത്രജ്ഞന്മാർക്ക് ഇത് യഥാർഥ രക്തക്കറ തന്നെയാണെന്ന് എളുപ്പത്തിൽ തെളിയിക്കാൻ കഴിഞ്ഞു.

ഇത് മനുഷ്യരക്തം തന്നെയാണെന്നും എന്തെങ്കിലും വർണവസ്തുവോ മൃഗത്തിന്റെ രക്തമോ അല്ല എന്നും തെളിയിക്കപ്പെടുകയുണ്ടായി. ടൂറിൻ വസ്ത്രത്തിൽ പതിഞ്ഞ, ഒഴുകിയ രക്തക്കറയുടെ അടയാളങ്ങൾ ശരീരശാസ്ത്രപരമായി വളരെ കൃത്യവും സ്വാഭാവികവുമായിരുന്നു. മനുഷ്യശരീരത്തിൽ രക്തം വഹിച്ചുപോകുന്ന ധമനിയുടെയും സിരകളുടെയും ഘടനയുമായി പൂർണമായും യോജിക്കുന്ന തരത്തിലാണ് രക്തം ഒഴുകിയതിന്റെ കറകൾ തിരുവസ്ത്രത്തിൽ കണ്ടത്.

തിരുവസ്ത്രത്തിലെ ശാസ്ത്രീയ ഗവേഷണം

1978ൽ എസ്.റ്റി.യു.ആർ.പ്പി (STURP- Shroud of Turin Research Project) – എന്ന ശാസ്ത്രഗവേഷണ സംഘടന ടൂറിൻ തിരുവസ്ത്രത്തെ വിനാശകരമല്ലാത്ത നിരവധി പരീക്ഷണ നിരീക്ഷണ പരമ്പരകൾക്ക് വിധേയമാക്കി. ബ്ളാക്ക് ആൻറ് വെറ്റ് ഫോട്ടോകൾ, കളർ ഫോട്ടോകൾ, വിവിധ തരത്തിലുള്ള ഫോട്ടോഗ്രാഫിക്ക് രീതികൾ, എക്സ്റേ, അൾട്രാവയലറ്റ് ഫോട്ടോ ഗ്രാഫി, ഹെമാഗ്നിഫയിങ്ങ് ഫോട്ടോ ഗ്രാഫി, പശയുള്ള ടേപ്പുകൾ ഉപയോഗിച്ച് വസ്ത്രത്തിന്റെ സാമ്പിൾ പരിശോധന, വസ്ത്രത്തിലെ നാരുകളിൽ പറ്റിപ്പിടിച്ച രക്തക്കറകളിൽ നിന്നും ഡി.എൻ. എ. വേർതിരിച്ചെടുക്കൽ മുതലായ നിരവധി പരീക്ഷണ നിരീക്ഷണങ്ങൾ അവർ നടത്തുകയുണ്ടായി. അവരുടെ പരീക്ഷണത്തിന്റെ മുഖ്യ ഉദ്ദേശ്യം എങ്ങനെയാണ് ഈ പ്രതിരൂപം വസ്ത്രത്തിൽ രൂപപ്പെട്ടത് എന്നതിന്റെ അന്വേഷണമായിരുന്നു.

ഇത്രയധികം കൂലങ്കശമായ പഠനങ്ങൾ നടത്തിയിട്ടും ഈ പ്രതിഛായ എങ്ങനെ രൂപപ്പെട്ടു എന്നതിനെ സംബന്ധിച്ച് ഇത് വരെ തൃപ്തികരമായ ഉത്തരം ലഭിച്ചിട്ടില്ല. തിരുവസ്ത്രത്തിന്റെ പ്രതിരൂപത്തിന്റെ ചില പ്രത്യേകതകളെ പറ്റി പഠിക്കുമ്പോൾ ഈ ചിത്രം രൂപപ്പെട്ട പ്രതിഭാസം വിശദീകരിക്കപ്പെടേണ്ടതുണ്ട്.

ഇത് സംബന്ധിച്ച് മുന്നോട്ടുവെക്കുന്ന എല്ലാ തിയറികളും താഴെ കാണുന്ന വസ്തുതകളെ കൂടി വിശദീകരിക്കേണ്ടതുണ്ട്.

1. പ്രതിരൂപം വളരെയധികം മങ്ങിയതാണ്. വസ്ത്രത്തിന്റെ ഏറ്റവും ഉപരിഭാഗത്തുള്ള നാരുകളിൽ മാത്രമാണ് ചിത്രം പതിഞ്ഞിട്ടുള്ളത്. ഇതിന് കാരണമെന്ത്?

2. പ്രതിരൂപമുള്ള സ്ഥലങ്ങളിലൊന്നും യാതൊരു വർണവസ്തുവോ ചായക്കൂട്ടോ കലർന്നിട്ടില്ല.

3. തിരുവസ്ത്രത്തിൽ പൊതിഞ്ഞ ശരീരാവയവങ്ങളുമായി തൊട്ടു നിൽക്കുന്ന ഭാഗങ്ങളിലെ നിറക്കൂടുതലും അകന്നുനില്ക്കുന്ന ഭാഗങ്ങളിലെ നിറക്കുറവും ചിത്രങ്ങൾക്ക് ഒരു ത്രിമാന ഘടന നൽകിയതിന്റെ വിശദീകരണമെന്ത്?.

4. പ്രതിരൂപം നെഗറ്റീവ് ആണ്.

By Unknown author – Own work, photographed at Saint-Sulpice, Paris, Public Domain, https://commons.wikimedia.org/w/index.php?curid=8476113

1988ലെ കാർബൺ കാലനിർണയ പരിശോധന തിരുവസ്ത്രം വ്യാജമാണെന്ന് തെളിയിച്ചിട്ടുണ്ടോ?

1988ൽ ടൂറിൻ വസ്ത്രം അന്താരാഷ്ട്ര വാർത്തകളിലെ തലക്കെട്ടുകൾ പിടിച്ചെടുക്കുകയുണ്ടായി. കാർബൺ ടെസ്റ്റ് നടത്തിയപ്പോൾ ടൂറിൻ വസ്ത്രം ക്രി. വ. 1360-1460 ഇടക്കുള്ള കാലഘട്ടങ്ങളിൽ നിർമിക്കപ്പെട്ടതാണ് എന്നായിരുന്നു വെളിപ്പെടുത്തൽ. ഈ പരീക്ഷണഫലം രണ്ടായിരം വർഷം പഴക്കമുണ്ടെന്ന് കരുതപ്പെട്ട തിരുവസ്ത്രം വ്യാജമാണോ അല്ലെങ്കിൽ യാഥാർഥ്യമാണോ എന്ന ചർച്ചയിലേക്ക് നയിച്ചു. പ്രസ്തുത കാലഘട്ടത്തിന് മുമ്പേ തിരുശ്ശീലയെ സംബന്ധിച്ച് വ്യക്തമായ ചരിത്രരേഖകളില്ലായിരുന്നു. തിരുവസ്ത്രം 14ാം നൂറ്റാണ്ടിൽ നിർമിച്ചതാണെന്ന പരീക്ഷണഫലവും തുടർന്നുള്ള പ്രചാരണവും ഈ ചരിത്ര ശൂന്യതയുമായി യോജിക്കുന്ന വിധത്തിലായിരുന്നു.

മതത്തിന് മേൽ ശാസ്ത്രം നേടിയ മറ്റൊരു വിജയമായി ഇത് ആഘോഷിക്കപ്പെട്ടു. പ്രത്യേകിച്ച് ടൂറിൻ തിരുവസ്ത്രത്തെ നിഷേധിച്ചിരുന്ന ശാസ്ത്രജ്ഞന്മാർക്ക് ഇത് ഒരവസരം ഒരുക്കിക്കൊടുക്കുകയായിരുന്നു. കാർബൺ ഡേറ്റിങ്ങിന്റെ ഫലപ്രഖ്യാപനം വന്നപ്പോൾ ഉണ്ടായ പ്രസ്താവനകൾ ശ്രദ്ധേയമാണ്. കാർബൺ കാലനിർണയഫലത്തെ ആധാരമാക്കി എല്ലാ ഭാഗത്തു നിന്നും തിരുവസ്ത്രം 14ാം നൂറ്റാണ്ടിലെ ഒരു വ്യാജ കലാനിർമിതിയാണെന്ന് സ്ഥാപിക്കാനുള്ള ശ്രമമായിരുന്നു പിന്നീട് നടന്നത്.

കാൺബൺടെസ്റ്റ് ഫലം: ഉത്തരത്തെക്കാളേറെ ചോദ്യങ്ങൾ

ടൂറിൻ വസ്ത്രവിഷയത്തിൽ കാർബൺ ടെസ്റ്റിന്റെ ഫലപ്രഖ്യാപനം വന്നപ്പോൾ ഈ വിഷയങ്ങളിൽ വിദഗ്ധരായവർക്കും പണ്ഡിതന്മാർക്കും ഉത്തരങ്ങളെക്കാളേറെ ചോദ്യങ്ങളായിരുന്നു അഭിമുഖീകരിക്കേണ്ടിവന്നത്.

ഇത് വ്യാജമാണെങ്കിൽ എങ്ങനെയാണ് ഈ പ്രതിരൂപം വസ്ത്രത്തിൽ പ്രത്യക്ഷപ്പെട്ടത്?

ഫോട്ടോഗ്രാഫിയെപറ്റിയുള്ള ശാസ്ത്രം രൂപം കൊള്ളുന്നതിന് വളരെ മുമ്പ് എങ്ങനെ ഒരു നെഗറ്റീവ് ചിത്രം സാധ്യമായി?

ശരീരശാസ്ത്രപരമായി രക്തപ്രവാഹത്തെപറ്റി യാതൊരറിവും ഇല്ലാതിരിക്കുന്ന ഒരു കാലത്ത് ഈ പ്രതിരൂപത്തിൽ പതിഞ്ഞ രക്തപ്രവാഹത്തിന്റെ ഗതി ശരീരശാസ്ത്രപരമായി യാതൊരു പൊരുത്തക്കേടുമില്ലാത്തതായത് എങ്ങനെ?

കലാകാരന് അങ്ങനെ വരക്കാൻ കഴിയുമോ?

പണ്ഡിതന്മാർ കാർബൺഡേറ്റിങ്ങിന്റെ സൂക്ഷ്മതയില്ലായ്മയെപറ്റി ചൂണ്ടിക്കാട്ടുന്നു.

ആധികാരിക പണ്ഡിതന്മാർ കാർബൺ ഡേറ്റിങ്ങിൽ ഉണ്ടായ പിഴവുകൾ വസ്തുനിഷ്ഠപരമായ തെളിവുകളോടെ ചൂണ്ടിക്കാട്ടുകയുണ്ടായി. ടൂറിൻ വസ്ത്രത്തിൽ തിങ്ങികൂടിയ “ബയോ പ്ളാസ്റ്റിക്കിനെ’ക്കുറിച്ചും തീപിടുത്തത്തിൽ ടൂറിൻ വസ്ത്രത്തിനുണ്ടായ കേടുപാടുകൾ എങ്ങനെ കാർബൺ ടെസ്റ്റിങ്ങിനെ ബാധിച്ചു എന്ന കാര്യവും അവർ ചർച്ച ചെയ്തു. തിരുവസ്ത്രത്തിന്റെ കാലപ്പഴക്കം മാറ്റിത്തിരുത്താൻ വത്തിക്കാൻ നടത്തുന്ന ഗൂഢാലോചനാസിദ്ധാന്തങ്ങളെ പറ്റി ശാസ്ത്രജ്ഞന്മാർ തന്നെ സംസാരിക്കാനും തുടങ്ങി.

റയ്മണ്ട് റോജർ കാർബൺഡേറ്റിങ്ങ് ഫലം തുറന്നുകാട്ടുന്നു

Raymond N. Rogers

തെർമോ ഡെനാമിക്സിൽ വിദഗ്ധനും STURP സംഘത്തിൽ സ്ഥാപകാംഗവുമായ റെയ്മണ്ട് റോജർ കാർബൺഡേറ്റിങ്ങ് ഫലത്തിലെ തിരിമറികൾ തുറന്നുകാട്ടുകയുണ്ടായി. ബെൻ ഫോർഡ്, മാറിനോ എന്നീ ദമ്പതികൾ ചേർന്നു നടത്തിയ ഗവേഷണഫലങ്ങളെ കേന്ദ്രീകരിച്ചുകൊണ്ടായിരുന്നു അദ്ദേഹത്തിന്റെ പഠനം. ബെൻ ഫോർഡും മാറിനോയും ശാസ്ത്രജ്ഞന്മാരല്ലായിരുന്നു. 1978ലെ STURP റിപ്പോർട്ടിനെ ആധാരമാക്കിയുള്ള പഠനങ്ങളാണ് അവർ നടത്തിയത്.

കാർബൺഡേറ്റിങ്ങിന് എടുത്തിട്ടുള്ള ടൂറിൻ തിരുവസ്ത്രത്തിലെ ഭാഗം ഒരിക്കലും ടൂറിൻ വസ്ത്രത്തിന്റെ ഭാഗമായിരുന്നില്ല, പിന്നീട് കൂട്ടിചേർത്ത ഭാഗമായിരുന്നു എന്ന ഞെട്ടിപ്പിക്കുന്ന വസ്തുതയാണ് വെളിപ്പെടുത്തപ്പെട്ടത്.

ഈയടുത്തകാലത്തെ ഒരു ഡോക്യുമെൻററിയിൽ ബാറി ഷോർട്സും അത് വ്യക്തമാക്കിയിട്ടുണ്ട്. കാർബൺ ഡേറ്റിങ്ങിന് ഉപയോഗിച്ച ടൂറിൻ വസ്ത്രത്തിലെ സാമ്പിളുകളുടെ ഫോട്ടോയാണ് ദമ്പതിമാരുടെ കെവശമുണ്ടായിരുന്നത്. അവർ ഈ തുണികഷണം പല ടെക്സ്റ്റെയിൽ വിദഗ്ധന്മാരേയും കാണിച്ചു. അവരെല്ലാവരും പറഞ്ഞത് ഈ സാമ്പിൾ കഷണം വസ്ത്രം ടൂറിൻ വസ്ത്രത്തിന്റെതു പോലെയല്ല എന്നാണ്. വസ്ത്ര സാമ്പിൾ കാണിച്ച എല്ലാ വിദഗ്ധരും അത് പിന്നീട് തുന്നിച്ചേർത്ത നെയ്തെടുത്ത വസ്ത്രമാണെന്ന് പറയുകയുണ്ടായി.(5) ബെൻഫോർഡും മാറിനോയും വിശ്വസിക്കുന്നത് 16ാം നൂറ്റാണ്ടിൽ ടൂറിൻവസ്ത്രം റിപ്പയർ ചെയ്തപ്പോൾ കൂട്ടിച്ചേർത്ത ഭാഗത്തിൽ നിന്നെടുത്തതാണ് ആ ഭാഗം എന്നാണ്.

16ാം നൂറ്റാ ണ്ടിൽ നിന്നെടുത്ത ഈ ഭാഗവും ഒന്നാം നൂറ്റാണ്ടിലെ ഒറിജിനൽ തിരുവസ്ത്രത്തിന്റെ ഭാഗവും പരസ്പരം കൂട്ടിക്കലർത്തിയാണ് പരിശോധനക്ക് നൽകിയത്. അതുകൊണ്ടാണ് കാർബൺ ഡേറ്റിങ്ങിൽ രണ്ട് വ്യത്യസ്ത തീയതികൾ പ്രത്യക്ഷപ്പെട്ടത്. ഈ തിരിമറി സംബന്ധിച്ച് അവർ ഒരു ഉപന്യാസം പ്രസിദ്ധപ്പെടുത്തുകയുണ്ടായി.

‘Evidence for the skewing of the C-14 Dating of the Shroud of Turin’ എന്നതായിരുന്നു ഉപന്യാസത്തിന്റെ പേര്. ഈ ഉപന്യാസമാണ് റയ്മണ്ട് റോജറുടെ ശ്രദ്ധ പിടിച്ചുപറ്റിയത്. അദ്ദേഹം ഒരു അഭിമുഖത്തിൽ ഇക്കാര്യം വ്യക്തമാക്കുകയുണ്ടായി.

“ഞാൻ ടൂറിൻ തിരുവസ്ത്രത്തെ പറ്റിയുള്ള പഠനങ്ങളെല്ലാം ഉപേക്ഷിച്ചിരുന്നു. ആ അവസരത്തിലാണ് ആ ആളെക്കറക്കുന്ന ഞൊറിയുടെ വിഷയം വരുന്നത്. ആ ഞൊറി പിന്നീട് തിരുവസ്ത്രത്തിൽ തുന്നിപ്പിടിപ്പിച്ചതായിരുന്നു. കാർബൺ കാലനിർണയ ഫലങ്ങളെ നിരവധി വഴികളിലൂടെ അത് തെറ്റിച്ചു. പിൽക്കാലത്ത് തുന്നിപ്പിടിപ്പിച്ചതാണ് ഞൊറി. ബെൻഫോർഡിന്റെയും മാറിനോയുടെയും പ്രബന്ധം അവസാനത്തെ കച്ചിതുരുമ്പാണ്. (6)

തിരുവസ്ത്രം രണ്ടായിരം വർഷം പഴക്കമുള്ള ഒറിജിനൽ ചരിത്രവസ്തുവാണെന്ന് വിശ്വസിച്ചിരുന്ന റെയ്മണ്ടിന് ഗവേഷണം നടത്താൻ അതുല്യമായ അവസരമാണ് ലഭിച്ചത്. ടൂറിൻ വസ്ത്രത്തിലെ റേഡിയോ കാർബൺ ടെസ്റ്റിങ്ങ് കൊടുത്ത സാമ്പിളും അത് പോലെ തിരുവസ്ത്രത്തിൽ നിന്നെടുത്ത ഒറിജിനൽ ഭാഗവും അദ്ദേഹത്തിന്റെ കെവശമുണ്ടായിരുന്നു. മധ്യനൂറ്റാണ്ടുകളിലാണ് തിരുവസ്ത്രം സൃഷ്ടിച്ചതെന്ന പ്രചരണം തകർക്കാൻ റെയ്മണ്ട് റോജർ, ബാറി സ്ഷോർട്സുമായി ബന്ധപ്പെട്ട കാര്യം വിവരിക്കുന്നു.

ബാറി സ്ഷോർട്സ് രണ്ട് മണിക്കൂറിനുശേഷം എന്നെ വിളിച്ചു. അദ്ദേഹം പറഞ്ഞു: ‘കുട്ടീ, നിനക്കറിയുമോ അവർ (ഗവേഷക ദമ്പതികൾ) പറഞ്ഞത് ശരിയാണ്. കാർബൺ ടെസ്റ്റിനു കൊടുത്ത സാമ്പിളിൽ പരുത്തിനൂൽ ഉണ്ടായിരുന്നു. തിരുവസ്ത്രത്തിന്റെ ബാക്കിഭാഗങ്ങളിൽ പരുത്തിയുടെ അംശമില്ല. ഇതിൽ പരുത്തി കലർന്നിട്ടുണ്ട്. അവർ പറഞ്ഞത് ശരിയാണ്’ (7). അദ്ദേഹം എത്തിച്ചേർന്ന നിഗമനം ശരിയാണ്. കാർബൺ പരിശോധനക്ക് അയച്ച തിരുവസ്ത്രത്തിലെ ഭാഗം രണ്ടാമത് തുന്നിച്ചേർത്ത ഭാഗമാണ്. ദുഃഖകരമെന്ന് പറയട്ടെ, റെയ്മണ്ട് റോജർ അർബുദവുമായുള്ള യുദ്ധത്തിൽ പരാജിതനായി തന്റെ ഗവേഷണ പരിപാടി അവസാനിച്ചയുടൻ അന്ത്യശ്വാസം വലിച്ചു. അദ്ദേഹത്തിന്റെ മുഴുവൻ പഠനങ്ങളും ബാറിസ്ഷോർട്സും കൂട്ടാളികളും ഒരു ഡി.വി.ഡി. ആയി പുറത്തിറക്കി.

റെയ്മണ്ട് മരിച്ചതിനുശേഷം ‘’Thermochimica Acta’ എന്ന രസതന്ത്ര ജേർണലിൽ അദ്ദേഹത്തിന്റെ പ്രവർത്തനത്തെപറ്റി വിശദമായ ഒരു ലേഖനമുണ്ട്.(8) ഈ കാർബൺ നിർണയഫലം ടൂറിൻ തിരുവസ്ത്ര ഗവേഷണത്തിൽ ഏറ്റവും നിർണായകമായിരുന്നു.

14ാം നൂറ്റാണ്ടിലെ വ്യാജ കലാനിർമിതിയാണ് തിരുവസ്ത്രം എന്നതായിരുന്നു വാദം. യേശുവിനെ പൊതിഞ്ഞ വസ്ത്രമാണ് ഇതെന്നുള്ള ആധികാരികതയെ തന്നെ അത് ചോദ്യം ചെയ്തിരുന്നു. ഈ കാർബൺ ടെസ്റ്റാണ് ഇപ്പോൾ തെറ്റാണെന്ന് തെളിയിക്കപ്പെട്ടിരിക്കുന്നത്.

യേശു കുരിശിൽ നിന്നും രക്ഷപ്പെട്ടതായി തിരുവസ്ത്രം തെളിയിക്കുന്നുണ്ടോ?

യേശുക്രിസ്തു കുരിശ് പീഢനത്തെ അതിജീവിച്ചു എന്ന് വിശ്വസിക്കുന്ന അഹ്മദി മുസ്ലിംകൾക്ക് ടൂറിൻ തിരുവസ്ത്രം ഏറ്റവും ശക്തമായ തെളിവാണ്. യേശു മരിച്ചതാണെങ്കിൽ ശരീരം ജീർണനത്തിന് വിധേയമായി എന്നതിന് യാതൊരു തെളിവും ടൂറിൻ തിരുശ്ശീലയിൽ നിന്നും ലഭ്യമല്ല. തിരുവസ്ത്രത്തിലേക്ക് പ്രവഹിച്ച ധാരാളം രക്തമാണ് ആ ചിത്രത്തിന്റെ രൂപഭാവങ്ങൾ ഉണ്ടാക്കിയത്.(9)

ടൂറിൻ തിരുവസ്ത്രത്തിൽ പൊതിയപ്പെട്ട മനുഷ്യൻ മരിച്ചിട്ടില്ല. നേർവിപരീതമായ തെളിവുകളാണ് അത് നൽകുന്നത്. മരിച്ചെങ്കിൽ ശരീരം മരവിച്ചുപോകുമായിരുന്നു. രക്തവും പ്ളാസ്മയും വേർപിരിയുകയും ചെയ്യുമായിരുന്നു. ഇത് രണ്ടും സംഭവിച്ചിട്ടില്ല എന്ന് ടൂറിൻ തിരുവസ്ത്രം സാക്ഷ്യം നില്ക്കുന്നു.(10)

യേശു കുരിശ് മരണത്തിൽ നിന്നും മോചിതനായി എന്നതിന് ടൂറിൻ തിരുവസ്ത്രം തെളിവ് നൽകുന്നു എന്ന കാര്യം അങ്ങേയറ്റം വിവാദാത്മകമായ ഒരു തർക്കമാണ്. ഒരിക്കലും തന്നെ വെകാരികമായ ഒരു സമീപനം ഇക്കാര്യത്തിൽ എടുക്കാൻ സാധ്യമല്ല. തിരുശ്ശീലയിൽ പൊതിഞ്ഞ ശരീരം മരിച്ചതായിരുന്നില്ല. മറിച്ച് മരണത്തോടടുത്ത അവസ്ഥയിലുള്ള ഒരാളുടെ ശരീരമായിരുന്നു എന്ന സിദ്ധാന്തം മുന്നോട്ടുവെച്ചവരുടെ അഭിപ്രായങ്ങളാണ് ചുവടെ കൊടുത്തത്.

റോഡ്നി ഹോറെ: ടൂറിൻ തിരുവസ്ത്രം യഥാർഥം തന്നെയാണ്

1994ലെ ഒരു സംഘം ഫോറൻസിക് ശാസ്ത്രജ്ഞന്മാരോടായിരുന്നു ഹോറെ സംസാരിച്ചിരുന്നത്. തിരുവസ്ത്രത്തെക്കുറിച്ച് സംസാരിച്ച അദ്ദേഹം താഴെ കാണുന്ന നിഗമനത്തിലെത്തുകയുണ്ടായി. “ഫോറൻസിക് ശാസ്ത്രജ്ഞന്മാരുടെ വാദം തിരുവസ്ത്രത്തിൽ പൊതിഞ്ഞ ശരീരം പതിനേഴാം നൂറ്റാണ്ടിന് മുമ്പുണ്ടായിരുന്ന നിലവാരം വെച്ച് നോക്കുകയാണെങ്കിൽ മരിച്ച ഒരാളുടേതായിരുന്നു എന്നാണ്. ഈ കാലത്തുള്ള ശാസ്ത്രനിലവാരം വെച്ച് നോക്കിയാൽ അഗാധമായ കോമ (അബോധാവസ്ഥ)യിലായ ഒരാളുടേതാണ്.’(11)

The Turin Shroud is Genuine : British Society for the Turin Shroud Chairman Rodney Hoare 1927-1997

അദ്ദേഹം ഈകാര്യം ഇപ്രകാരം വിവരിക്കുന്നു: “രാസികമായി വസ്ത്രത്തിൽ കറപിടിക്കുന്ന പ്രതിഭാസം ഏറെക്കുറെ താപത്തെ ആശ്രയിച്ചാണുള്ളത്. കൂടുതൽ താപമുണ്ടാകുമ്പോൾ കറയുടെ കറുപ്പ് കൂടുന്നു. അപ്പോൾ വസ്ത്രത്തിന്റെ താപനില ശരീരതാപനിലയുമായി തുല്യമായിരിക്കും. ഇങ്ങനെ സംഭവിക്കണമെങ്കിൽ ശരീരത്തിലൂടെ രക്ത ചംക്രമണം ഉണ്ടായിരിക്കണം. ഹൃദയം മിടിച്ചുകൊണ്ടേയിരിക്കും. ശരീരമാകട്ടെ അബോധാവസ്ഥയിലുമായിരിക്കും. ഇരുപതാം നൂറ്റാണ്ടിന്റെ മാനദണ്ഡമനുസരിച്ച് അയാൾ വെദ്യശാസ്ത്രപരമായി മരിച്ചിട്ടുണ്ടാവില്ല.(12)

അതേ പുസ്തകത്തിൽ ഹോറെ മറ്റൊരു നിരൂപണം കൂടി ഇപ്രകാരം നടത്തുന്നു.

“(STURP) റിപ്പോർട്ടനുസരിച്ച് അവർക്ക് തിരുവസ്ത്രത്തിലെ കറകൾക്ക് സമാനമായ പദാർഥങ്ങൾ വിയർപ്പിൽ കുതിർക്കുന്ന ലിനനും മൂറും അകിലും ചേർത്ത് ചൂടാക്കിയപ്പോൾ ലഭിച്ചു.(13)

ടൂറിൻ വസ്ത്രത്തിൽ നിന്നുള്ള തെളിവുകളുദ്ധരിച്ചുകൊണ്ട് ഹൊറേ വാദിക്കുന്നത് യേശു കുരിശിൽ വെച്ച് മരിച്ചിട്ടില്ല എന്നാണ്.

കുർട്ട് ബർണ: യേശു കുരിശിൽ വെച്ച് മരിച്ചിട്ടില്ല (1975)

കുർട്ട്ബർണയുടെ അഭിപ്രായപ്രകാരം ടൂറിൻ തിരുവസ്ത്രം നൽകുന്ന തെളിവുകളും പുതിയ നിയമത്തിലെ തെളിവുകളുമനുസരിച്ച് യേശു കുരിശുപീഢനത്തെ അതിജീവിച്ചിട്ടുണ്ട്. കുരിശിൽ വെച്ച് മരിച്ചിട്ടില്ല. കുർട്ട്ബർണ ഉന്നയിക്കുന്ന തെളിവുകൾ ജർമൻ യൂണിവേഴ്സിറ്റിയിലെ പ്രാഫസ്സർ ഡോ. തിയോഡർ ഹിർട്ടിന്റെ നിരീക്ഷണങ്ങളുടെ അടിസ്ഥാനത്തിലുള്ളതാണ്.

“ഒരിക്കൽ മനുഷ്യശരീരത്തെ മരണം പരിഗ്രഹിച്ചുകഴിഞ്ഞാൽ ശരീരത്തിൽ രക്തചംക്രമണം നിലക്കും. ജീവനുള്ള ഒരാളുടെ ശരീരത്തിലെ ത്വക്കിന് ചുകന്ന മാംസളമായ നിറമായിരിക്കും ഉണ്ടാവുക. കാരണം രക്തം തൊലിക്കടിയിലെ മുടിനാരിഴ പോലെയുള്ള രക്തവാഹിനികുഴലിലൂടെ ഇരച്ചുകയറുന്നു. എന്നാൽ ഹൃദയം അതിന്റെ പമ്പിങ്ങ് നിർത്തിവെക്കുമ്പോൾ പ്രകൃതി നിയമനമനുസരിച്ച് അതായത് ഒരു ഗ്ലാസ് ട്യൂബിൽ നിന്നും വെള്ളം പിൻവലിയുന്നത് പോലെ രക്തം ധമനികളിൽ നിന്നു പിൻവലിയുന്നു. രക്തക്കുഴലുകൾ അങ്ങനെ രക്ത ശൂന്യമായിത്തീരുന്നു. രക്തപരിവഹനവ്യവസ്ഥയുടെ ഒരറ്റ മാണ് തൊലികൾക്കടിയിലുള്ളത്. ഒരാൾ മരിക്കുമ്പോൾ രക്തം തൊലിയിലെ രക്തക്കുഴലുകളിൽ നിന്നും പിൻവലിയുന്നു. അപ്പോൾ തൊലിയുടെ നിറം വെളുത്തു വിളറൂന്നു. ഇതാണ് സാധാരണഗതിയിൽ മരണം വരിച്ച ഒരു ശവശരീരത്തിൽ ഏഴ് മുതൽ ഒൻപത് മണിക്കൂർ വരെ കഴിഞ്ഞാൽ സംഭവിക്കുന്നത്.”

“മരിച്ച ഒരാളുടെ ഹൃദയം നിലക്കുന്നു. അപ്പോൾ മുറിവുകളിലൂടെ രക്തം ഒഴുകില്ല. കാരണം രക്തത്തിന് സമ്മർദം നൽകുന്ന ഹൃദയം നിലച്ചുപോയിരിക്കുന്നു. എന്നാൽ രക്തം അല്പാല്പമായി മുറിവിലൂടെ കിനിയുവാൻ സാധ്യതയുണ്ട്. എന്നാൽ മുൾക്കിരീടം യേശുവിന്റെ തലയിൽ നിന്നും എടുത്ത് മാറ്റിയപ്പോൾ എന്താണ് സംഭവിച്ചത്?. അവിടെ രക്ത പ്രവാഹമുണ്ടെങ്കിൽ അഥവാ രക്തസമ്മർദമുണ്ടെങ്കിൽ അവിടെ സ്പന്ദിക്കുന്ന ഒരു ഹൃദയം ഉണ്ടാകേണ്ടതല്ലേ? ആ ചെറിയ മുറിവിലൂടെ രക്തം ഒഴുകി. തലയിൽ നിന്ന് പ്രവഹിച്ച രക്തം മുടിയിലൂടെയും ഒഴുകി. അത് മുടിയിലൂടെ ഒലിച്ചിറങ്ങി ടൂറിൻ വസ്ത്രത്തിലേക്കും പകർന്നു. അതുകൊണ്ടാണ് പറയുന്നത് ടൂറിൻ തിരുവസ്ത്രത്തിൽ പൊതിഞ്ഞ യേശുവിന്റെ ശരീരം മരിച്ചിരുന്നില്ല. അതിൽ പൊതിഞ്ഞത് ഒരു മൃതദേഹമായിരുന്നില്ല. അതിന്റെയെല്ലാം തെളിവ് നമുക്ക് ടൂറിൻ വസ്ത്രത്തിൽ കാണാം. പത്തൊമ്പത് നൂറ്റാണ്ടുകൾക്ക് ശേഷം ക്യാമറയാണ് അത് വ്യക്തമായി നമ്മോട് പറഞ്ഞത്. ക്യാമറ കളവ് പറയുകയില്ല. ഇത് വളരെ വ്യക്തവും ലളിതവുമായ സംഗതിയാണ്. എനിക്കുറപ്പാണ് എന്റെ യുക്തിയെ നിങ്ങൾ പിന്തുടരുമെന്ന്.”(14)

ഹോർഗർ കെഴ്സ്റ്റൺ & എൽമാർ ഗ്രൂബർ The Jesus Conspiracy 1992.

കെഴ്സ്റ്റണും ഗ്രൂബറും ചേർന്നെഴുതിയ ഈ പുസ്തകത്തിന്റെ മുഖ്യപ്രമേയം യേശു കുരിശിൽ വെച്ച് മരിച്ചിരുന്നില്ല എന്നും കുരിശ് പീഢനത്തെ അദ്ദേഹം അതിജീവിച്ചു എന്നുമാണ്. അവരുടെ പുസ്തകത്തിന്റെ അവസാനത്തെ അധ്യായങ്ങളിലൊന്നിന്റെ പേര് ‘The Image of a living person’ എന്നാണ്.

The Jesus Conspiracy, 1997

അത് ആരംഭിക്കുന്നത് ഇപ്രകാരമാണ്. “നാം എല്ലാം വിശദീകരിച്ചു കഴിഞ്ഞു. ഇനി യാതൊരു സംശയവും അവശേഷിക്കുന്നില്ല. യേശുവിനെ കുരിശിൽ നിന്നും ഇറക്കിയതിന് ശേഷം അദ്ദേഹത്തെ ചികിത്സക്കായി കിടത്തിയ തുണിയായിരുന്നു ടൂറിനിലെ തിരുവസ്ത്രം. അത് ശരിയാണെങ്കിൽ യേശുവിനെ കല്ലറയിൽ വെക്കുമ്പോഴും ജീവനുണ്ടായിരുന്നു. നമുക്ക് ടൂറിനിലെ തിരുശ്ശീലയിൽ നിന്നും തെളിവുകൾ കണ്ടെ ത്താൻ കഴിയും.(15)

‘ജീസസ് കോൺസ്പിറസി’യുടെ രചയിതാക്കൾ അവരുടെ കേസ് വാദിക്കാനായി തിരുവസ്ത്രത്തിലെ രക്തക്കറ ചൂണ്ടിക്കാട്ടുന്നു. വെദ്യശാസ്ത്രപരമായ കാരണത്താൽ യേശുവിന്റെ ശരീരം കുളിപ്പിച്ചില്ല. അതിന് ജോസഫ് അമരിത്യയോടും അദ്ദേഹത്തിന്റെ സഹായിയോടും നാം നന്ദി പറയേണ്ടതുണ്ട്. ഈ കാരണത്താൽ പുറമെ കട്ട പിടിച്ച രക്തം ടൂറിൻ തിരുവസ്ത്രത്തിൽ പതിയാനിടയായി.

രണ്ട് വിധത്തിലും രക്തപ്രവാഹം തിരുവസ്ത്രത്തിൽ കാണാൻ കഴിഞ്ഞു. ആദ്യത്തേത് ഉണങ്ങിയ രക്തമാണ്. അത് ചാട്ടവാറടി മൂലമുണ്ടായ മുറിവിൽ നിന്നും മുൾക്കിരീടത്തിൽ നിന്നും വശങ്ങളിലുണ്ടായ മുറിവിൽ നിന്നും ആണിപ്പഴുതിൽ നിന്നുള്ള മുറിവിൽ നിന്നുമുള്ളതാണ്. രണ്ടാമത്തേത് പുതുരക്തമാണ്. യേശുവിനെ തറയിൽ തിരുവസ്ത്രത്തിൽ കിടത്തിയപ്പോൾ പ്രവഹിച്ച രക്തമാണ്.

തിരുവസ്ത്രം പശിമയുള്ള അകിലിൽ ആസകലം കുതിർന്നിരുന്നു. ആയതിനാൽ കൂടുതൽ രക്തം വസ്ത്രത്തിലേക്ക് കിനിഞ്ഞിറങ്ങിയില്ല. വസ്ത്രത്തിന്റെ ഉപരിതലത്തിൽ മാത്രം അവ പരന്നു. ആധുനിക ഗവേഷകരുടെ അദ്ഭുതപ്പെടുത്തിയ ഒരു നിരീക്ഷണം. വസ്ത്രം നേരിയതായിരുന്നിട്ടുകൂടി ശരീരത്തിലെ അവയവാഗ്രങ്ങൾ സ്പർശിച്ച ഭാഗങ്ങൾ മാത്രമേ തിരുവസ്ത്രത്തിൽ പതിഞ്ഞിട്ടുള്ളൂ. വിപരീത ദിശയിലുള്ള മറ്റു ഭാഗങ്ങൾ പതിഞ്ഞിട്ടില്ല. രക്തം മുഴുവനുമായും തിരുവസ്ത്രത്തിൽ പരന്നിട്ടുമില്ല. പശപോലെയുള്ള അകിലിന്റെയും മൂറിന്റെയും ലേപനചികിത്സ കട്ടകെട്ടിയ രക്തം നേർത്തൊഴുകാൻ സഹായിച്ചിട്ടുമുണ്ടാകാം. അവയും തിരുവസ്ത്രത്തിൽ പരന്നിട്ടുണ്ട്.(16)”

ക്രിസ്റ്റോഫർ നെറ്റ് & റോബർട്ട് ലോമാസ് – The Second Messiah 1997.

തിരുവസ്ത്രത്തെക്കുറിച്ച് വിഭിന്നമായ ഒരു കാഴ്ച്ചപാടാണ് ഈ കൃതി അവതരിപ്പിക്കുന്നത്. തിരുവസ്ത്രത്തിൽ പൊതിയപ്പെട്ട വ്യക്തി ജീവനുള്ള ആളായിരുന്നു എന്ന നിഗമനത്തിലാണ് ഈ പുസ്തകം എത്തിച്ചേരുന്നത്. അവരുടെ അഭിപ്രായത്തിൽ തിരുവസ്ത്രത്തിൽ പൊതിഞ്ഞ വ്യക്തി കിടന്നിരുന്നത് പരു പരുത്ത പാറയിലല്ലായിരുന്നു. മറിച്ച് മാർദവമേറിയ കുഷൻ പോലെയുള്ള ഒരു പ്രതലത്തിലായിരുന്നു എന്നാണ്.

“മൃതദേഹം ഒരിക്കലും മാർദവമേറിയ പ്രതലത്തിൽ കിടത്താറില്ല. എല്ലാ അർഥത്തിലും തിരുവസ്ത്രത്തിലെ രൂപം മരിച്ച ഒരാളുടേതല്ല. അതിഗുരുതരമായി പീഢിപ്പിക്കപ്പെട്ട ഒരാളുടെ ജീവസ്സുറ്റ ശരീരമായിരുന്നു അതിൽ കണ്ടത്.(17)

ഉപസംഹാരം

ടൂറിനിലെ തിരുവസ്ത്രത്തെക്കുറിച്ചുള്ള വസ്തുനിഷ്ഠമായ ഗവേഷണങ്ങൾ വളരെ പ്രയാസകരമായ ഒന്നാണ്. ടൂറിൻ തിരുശ്ശീലയിൽ ഗവേഷണ താല്പര്യമുള്ളവരെല്ലാം കടുത്ത മുൻധാരണകളും പക്ഷപാതിത്വ മനസ്ഥിതിക്കാരുമാണ്. ഇപ്പോൾ തിരുവസ്ത്രത്തെ സംബന്ധിച്ച  പണ്ഡിതൻമാരുടെ അഭിപ്രായങ്ങൾ രണ്ടുതട്ടിൽ വിഭജിക്കപ്പെട്ടിരിക്കുന്നു. തിരുവസ്ത്രം മദ്ധ്യകാലഘട്ടത്തിലെ ഒരു തട്ടിപ്പും വ്യാജനിർമിതിയുമാണെന്ന ധാരണയാണ് കാർബൺ കാലനിർണ്ണയഫലങ്ങൾ പലരിലും ഉണ്ടാക്കിയത്. റെയ്മണ്ട് റോജറുടെ ഗവേഷണങ്ങളും കണ്ടെത്തലുകളും അത്ര ശ്രദ്ധിക്കപ്പെട്ടിട്ടില്ല.

2009 ഒക്ടോബറിൽ പോലും ഗവേഷകന്മാർ തിരുവസ്ത്രം വെറുമൊരു തട്ടിപ്പാണെന്ന് വരുത്തിത്തീർക്കാനാണ് യത്നിച്ചത്. (18)

ചില തിരുവസ്ത്ര വിദഗ്ധന്മാർ മറ്റൊരു കാർബൺ ഡേറ്റിങ്ങ് ടെസ്റ്റ് നടത്തണമെന്ന് ശക്തമായി ആവശ്യപ്പെടുന്നു. എന്നാൽ തിരുവസ്ത്രം കൂടുതൽ ശാസ്ത്രഗവേഷണത്തിന് വിധേയമാക്കാനുള്ള അനുമതി ലഭിക്കാൻ വളരെ വളരെ പ്രയാസമാണ്. കഴിഞ്ഞ ദശകങ്ങളിൽ തിരുവസ്ത്രത്തിലെ പ്രതിരൂപം മങ്ങിവരുന്നതായി കാണപ്പെടുന്നു. ആ പ്രതിരൂപം തിരുവസ്ത്രത്തിൽ നിന്നും പൂർണമായും മാഞ്ഞുപോവുന്നത് തടയാൻ അത് ഒരു പ്രത്യേക പെട്ടിക്കുള്ളിൽ സൂക്ഷിച്ചിരിക്കുകയാണ്. അതിന്റെ ഭാഗമായി തെമോൾ എന്ന രാസപദാർഥം കൊണ്ട് ട്രീറ്റ് ചെയ്തിട്ടുണ്ട്. ഇത് ഭാവിയിൽ കാർബൺ ഡേറ്റിങ്ങ് നിർണയത്തെ പ്രതികൂലമായി ബാധിക്കുമെന്ന് വിദഗ്ധർ ചൂണ്ടിക്കാട്ടിയിട്ടുണ്ട്.

2010 ഏപ്രിൽ 30ന് അഹ്മദിയ്യ ഖലീഫ ഹദ്റത്ത് മിർസാ മസ്റൂർ അഹ്മദ് (അയ്യദഹു..) നടത്തിയ ജുമുആ ഖുത്ബയിൽ പാകിസ്താൻ റബ്വയിലെ മീർ മഹ്മൂദ് അഹ്മദ് നടത്തിയ ചില പരീക്ഷണങ്ങളെപ്പറ്റി പ്രതിപാദിച്ചിരുന്നു. ഒരു റേഡിയേറ്ററിന്റെ സഹായത്തോടെ ശരീരം വിയർപ്പിച്ച് അകിലും മൂറും ഉപയോഗിച്ചുകൊണ്ടുള്ളതായിരുന്നു പരീക്ഷണം. ഹോൾഗർ കെർസ്റ്റണും ഇത്തരം പരീക്ഷണങ്ങൾ നടത്തിയിട്ടുണ്ട്. ഈ പരീക്ഷണങ്ങൾ തിരുവസ്ത്രത്തിലേത് പോലെ പ്രതിരൂപം പതിയുന്നതിൽ ഭാഗികമായി വിജയിച്ചിട്ടുമുണ്ട്. പക്ഷേ പൂർണ്ണമായും ഇല്ല.

People wait in line outside the Cathedral of St. John the Baptist before the opening of the public exposition of the Shroud of Turin in Turin, Italy, April 19. (CNS photo/Paul Haring)2015.People wait in line outside the Cathedral of St. John the Baptist before the opening of the public exposition of the Shroud of Turin in Turin, Italy, April 19. The shroud, believed by many to be the burial cloth of Jesus, is on display from April 19 through June 24, 2015. (CNS photo/Paul Haring) See TURIN-SHROUD and SHROUD-DEBATE April 20, 2015.

ശാസ്ത്രജ്ഞന്മാർക്കും അക്കാഡമിക്ക് പണ്ഡിതന്മാർക്കും തിരുവസ്ത്രം ഇപ്പോഴും കുരുക്കഴിക്കാൻ കഴിയാത്ത അദ്ഭുതകരമായ ഒരു പ്രഹേളികയാണ്. വിശ്വാസികൾക്ക് യേശു അനുഭവിച്ച കുരിശു പീഢനാനുഭവങ്ങളുടെ ഒരു ദൃശ്യാനുഭൂതി തിരുവസ്ത്രം നൽകുന്നു. എന്നാൽ യേശു കുരിശു പീഢനത്തെ അതിജീവിക്കുകയും കുരിശിൽ മരിക്കാതെ രക്ഷപ്പെടുകയും ചെയ്തു എന്ന ആശയത്തെ പിന്തുണക്കുന്നവർക്കും ആ വിശ്വാസം തെളിയിക്കപ്പെടാൻ ഏറ്റവും ശക്തമായ ഒരു തെളിവാണ് തിരുവസ്ത്രം.

ഇപ്പോൾ ഇത് സംബന്ധിച്ച് അനന്തമായ വിവാദങ്ങൾ നടന്നുവരികയാണ്. കാലം തീർച്ചയായും സത്യം പുറത്തുകൊണ്ടുവരും. അവസാനമായി, 1999ൽ ലിയോണിഷ്യാ ലാർസ എഴുതിയ The DNA of God?എന്ന പുസ്തകത്തിൽ STURP സംഘം ടൂറിൻ തിരുവസ്ത്രത്തിലെ രക്തക്കറയിൽ നിന്നും യേശുവിന്റെ ഡി. എൻ. എ. വേർതിരിച്ചെടുത്തു എന്നു പറയുന്നു. അപ്പോൾ മറ്റേതെങ്കിലും സ്രോതസ്സിലൂടെ യേശുവിന്റെ ഡി.എൻ.എ. ലഭിക്കുകയാണെങ്കിൽ തിരുവസ്ത്രത്തിലെ ഡി.എൻ.എ.യുമായി ഒത്തുനോക്കിയാൽ തിരുവസ്ത്രത്തെ സംബന്ധിച്ചുള്ള വിവാദങ്ങൾ എന്നന്നേക്കുമായി അവസാനിക്കുന്നതാണ്.

References:

1.The Turin Shroud: The Illustrated Evidence, Ian Wilson & Harrie Schwortz, pp. 151-155,
2.Ibid – pp. 57-58,
3.Ibid – pp-58-59,
4. Ibid – p.60,
5. Turin Shroud ‘The New evidence’,
6.Studies on the radiocarbon sample from the Shroud of Turin, Thermochimica Acta, Volume 425, Is[1]sues 1-2, pp. 189-194,
7.The Turin Shroud is Genuine, Rodney Hoare, 1994-pp 68-69.,
8.The Turin Shroud: The Illustrated Evidence, Ian Wilson & Barrie schwortz, 2000-pp. 67-81.,
9. The Turin Shroud is genuine, Rodney Hoare, 1994-pp. 68-69,
10. Jesus did not Perish on the Cross (Jesus Nicht am Kreuz gestorben) – Kurt Berna. Zurich, Switzerland, 1975 – Extracts from the account of Dr. Theodor Hirt – pp. 46-49.,
11. The Jesus Conspiracy, Holger Kersten & Elmar Gruber – 1992 – pp. 281
12. Ibid, pp 286,
13. The Second Messiah, Christopher Knight & Robert Lomas, pp. 200,
14. http.//www.shroud.com/pdfs/schwortzedito1.pdf

This Post Has One Comment

  1. Rafi

    MashaAllah very comprehensive information and also evidence for Jesus peace be upon him not died in cross

Comments are closed.